规划二路南段工程建设用地规划许可证批后公布
建设单位:江苏如东洋口港经济开发区管理委员会
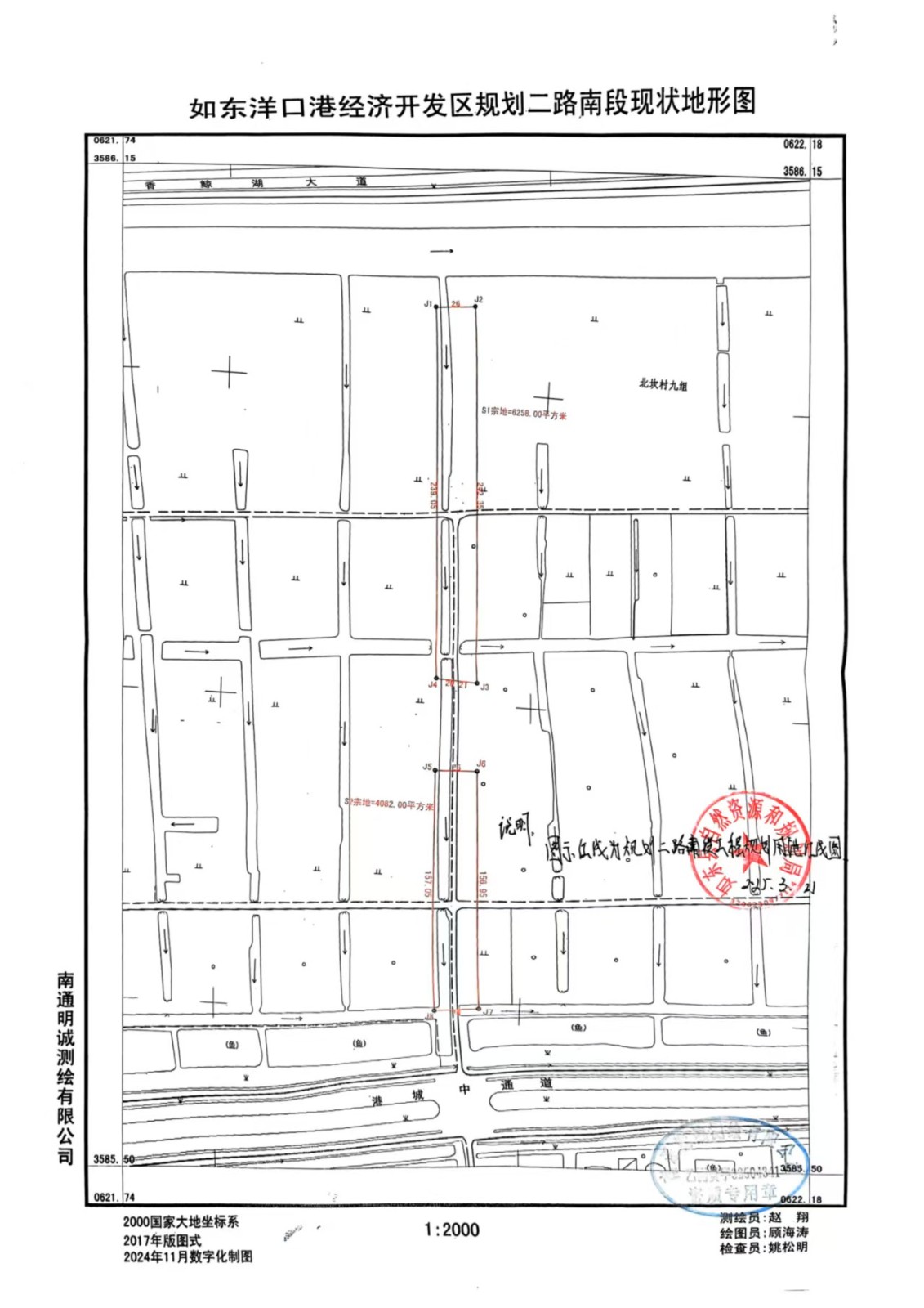
项目名称:规划二路南段工程
建设位置:如东洋口港经济开发区规划二路
用地面积:10340
建设规模:道路红线宽26米
许可证号:地字第3206232025YG0020597号
发证日期:2025年3月27日
发证机关:如东县数据局
发证机关联系方式:0513-84199412
建设单位:江苏如东洋口港经济开发区管理委员会
项目名称:规划二路南段工程
建设位置:如东洋口港经济开发区规划二路
用地面积:10340
建设规模:道路红线宽26米
许可证号:地字第3206232025YG0020597号
发证日期:2025年3月27日
发证机关:如东县数据局
发证机关联系方式:0513-84199412